Перейти к основному содержанию

Наука


Ученые раскрыли геологические секреты дна Марианской впадины

Их исследования были опубликованы в журнале Nature

15 Ноя.., 2018, 22:16

Изучение структуры дна Марианской впадины помогло геологам вычислить примерное количество воды в недрах Земли и обнаружить, что ее там примерно в три раза больше, чем считалось ранее. Их выводы были представлены в журнале Nature, пишет РИА «Новости».

«Мы давно спорили о том, как много воды попадает в мантию Земли вместе с "тонущей" морской корой, а также о том, меняется ли ее доля в разных зонах субдукции в зависимости от того, как породы "ныряют" в недра планеты. Марианская впадина позволила нам заглянуть настолько глубоко в эти разломы, как раньше никто не делал», - заявил Даг Винс из университета Вашингтона в Сент-Луисе (США).

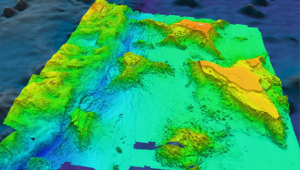
Марианская впадина, расположенная в нескольких десятках километров к востоку от Марианских островов и архипелага Гуам, является самым глубоким местом на Земле – ее глубина в самой низкой части, в так называемой впадине Челленджера, составляет чуть более 11 километров.

За минувшие 50 лет было совершено всего четыре попытки достичь ее дна – в 1960 году в Марианскую впадину опустились швейцар Жак Пиккар и американец Дон Уолш, в 1996 году – японский батискаф Кайко, в 2009 году – его американский «коллега» Нере. В 2012 году во впадину Челленджера опустился режиссер Джеймс Камерон в аппарате Deepsea Challenger.

Помимо различных спускаемых аппаратов, ученые активно изучают Марианскую впадину при помощи сейсмографов, установленных на дне океана в ее окрестностях, а также на соседних островах. Винс и его коллеги получили первую подробную геологическую карту этого разлома, объединив данные подобных наблюдений за последний год.

Характер распространения сейсмических колебаний через толщу пород, как объясняют геологи, зависит от формы этих пластов, характера взаимодействий между ними, а также того, в какую сторону они ориентированы. Это позволяет раскрыть их структуру, направление движения потоков пород и даже узнать их химический состав, наблюдая за тем, как быстро и каким образом «эхо» землетрясений проходит через такие зоны.

Марианская впадина, в свою очередь, представляет собой так называемую зону субдукции — участок литосферы, где один пласт морской коры «ныряет» под другую плиту, наступающую на нее. Ученых давно интересует дальнейшая судьба ее материи – как много ее попадает в глубинные слои мантии Земли, и какая ее часть почти сразу возвращается назад в виде извержений вулканов и излияний магмы в срединно-океанических хребтах и в так называемых островных дугах.

Как оказалось, пласт «тонущей» коры под Марианской впадиной почти полностью уходил в глубинные слои мантии Земли, сохраняя свою структуру даже на глубинах в 50-60 километров. Это, в свою очередь, означает, что в недра планеты попадает значительно больше морских горных пород, богатых водой и ее соединениями, чем считалось раньше.

По оценкам ученых, Марианская впадина «закачала» свыше 79 миллионов тонн воды в глубинные слои мантии Земли за последний миллион лет, что примерно в 3-4 раза выше предыдущих оценок, вычисленным по данным наблюдений за менее глубокими и крупными желобами.

Если это действительно так, то тогда вода и связанные с ней осадочные породы должны играть заметно более значимую роль в «круговороте» пород в недрах Земли, чем сейчас считают ученые. Как считает Винс, последующие открытия такого рода заставят геологов переработать все теории, описывающие процесс обмена породами между мантией и корой планеты.